For Sale Lot in Minglanilla Cebu
Cebu, Minglanilla, Tungkop
Sale: ₱ 3,739,500
Full description
Listing ID: Samuelcollab(Lot)
Land for sale in Tungkop, Cebu
RUSH SALE
MINGLANILLA CEBU
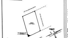
Inside Primitiva Compound flat & corner lot, lot Area 277 sqm
IDEAL for RESIDENTIAL or APARTMENTS project
✅ CASH OPTIONS
Price is 13,500/sqm
Net of Taxes
Payment Terms
Cash or In-house Financing Available
For site tour please contact:
RODEL G. REVILLA, REC, REB, REA, LPT, MMREM
REB PRC Lic# 28609 valid until 09/23/2024
REA PRC Lic# 8416 valid until 09/23/2025
REC PRC Lic#453 valid until 09/23/2025
DHSUD Registration # 2604 valid until 12/31/2023
YDH Realty Services Inc
MINGLANILLA CEBU
Inside Primitiva Compound flat & corner lot, lot Area 277 sqm
IDEAL for RESIDENTIAL or APARTMENTS project
✅ CASH OPTIONS
Price is 13,500/sqm
Net of Taxes
Payment Terms
Cash or In-house Financing Available
For site tour please contact:
RODEL G. REVILLA, REC, REB, REA, LPT, MMREM
REB PRC Lic# 28609 valid until 09/23/2024
REA PRC Lic# 8416 valid until 09/23/2025
REC PRC Lic#453 valid until 09/23/2025
DHSUD Registration # 2604 valid until 12/31/2023
YDH Realty Services Inc
Telephone number:
Key features
-
Land area: 277 m2
