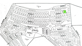
Residential lot 203 SQM overlooking.
Listing ID: LFSCAG203
Land for sale in Richmond Hills, Balulang, Misamis Oriental
Lot area :203 square meter @Php 23,200k /SQM
Overlooking Residential Lot
Amenities:
Clubhouse, Guard house , Basketball Court ,Swimming pool, Gazebo , Children's play area , parking area , trellis with bench and pocket park.
Location: Brgy Camaman-an, Cagayan De oro City
Reach the peak of idyllic living experience in an American highlands-inspired community in Barangay Camaman-an, Cagayan de Oro City known as Richmond Hills. This well-situated and efficiently-planned American highlands community offers 293 residential lots with the option for housing through the Design Collection of Robinsons Homes. The average lot cut is approximately 150 sqm, providing homebuyers more than enough space to build their dream home in an ideal subdivision neighborhood. Richmond Hi...
View more detail on Richmond Hills-
Land area: 203 m2
-
Swimming pool
-
Security
-
Children's area
