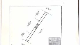
7,776 sqm Vacant Lot for Sale in Carcar City Cebu
Cebu, Carcar, Poblacion I
Sale: ₱ 116,640,000
Full description
Listing ID: CM37.01
Land for sale in Poblacion I, Cebu
CM37.01 (Direct)
7,776 sqm Vacant Lot for Sale in Carcar City Cebu
Lot Size : 7,776 Sqm. Along the Main Road (National Highway)
•Raw Land
•Consists of two (2) titles.
•Clean Title
Last Price : 15k/per sqm. or
116,640,000.00 PHP (GROSS)
7,776 sqm Vacant Lot for Sale in Carcar City Cebu
Lot Size : 7,776 Sqm. Along the Main Road (National Highway)
•Raw Land
•Consists of two (2) titles.
•Clean Title
Last Price : 15k/per sqm. or
116,640,000.00 PHP (GROSS)
Telephone number:
Key features
-
Land area: 7,776 m2
