377 sqm Residential Lot in Brgy. Immaculate Concepcion, QC
Metro Manila, Quezon City, Immaculate Concepcion
Sale: ₱ 60,320,000
Full description
Listing ID: LA66FBB3EACFAF8PH
Land for sale in Immaculate Concepcion, Metro Manila near LRT-2 Betty Go-Belmonte
LOT FOR SALE
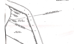
Residential Lot in Saint William St, Brgy Immaculate Concepcion, QC
Lot area: 377 sqm
Frontage: 15 m
5 min to New Manila and Robinson’s Magnolia
Selling price: 60,320,000
Betty Ongsiaco Gorospe
RE/MAX Capital
PRC RES license No. 16330
Residential Lot in Saint William St, Brgy Immaculate Concepcion, QC
Lot area: 377 sqm
Frontage: 15 m
5 min to New Manila and Robinson’s Magnolia
Selling price: 60,320,000
Betty Ongsiaco Gorospe
RE/MAX Capital
PRC RES license No. 16330
Telephone number:
Key features
-
Land area: 377 m2
